株式会社グローバルホーム
TOP
物件情報
注文住宅
施工事例
Blog
お問合せ
お知らせ
TEL
048-739-5888
お問合せはこちら
ホーム
>
物件特集ブログ
> 春日部市南4丁目 区画図
物件特集ブログ
«
新規物件!【売地】
|
物件特集ブログ
|
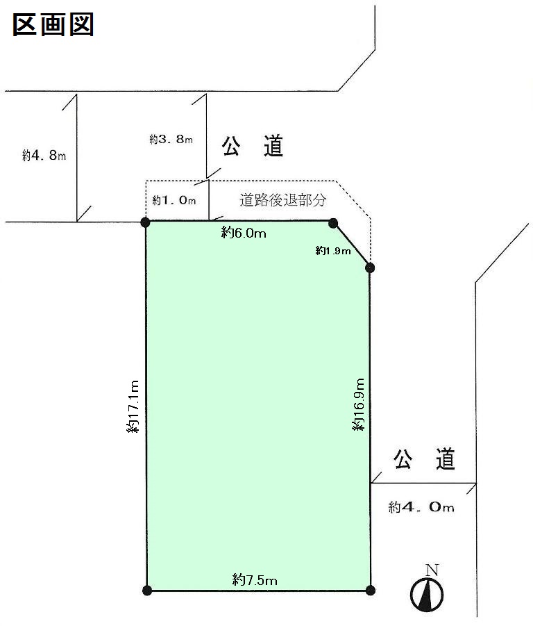
春日部市南4丁目 区画図
2015.02.16